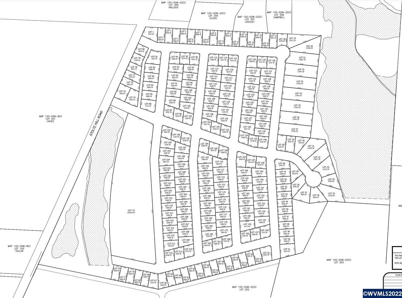
Description
Just annexed & ready for your development. This gently sloping development property opens up unobstructed views of the valley & Peterson Butte. Located on the SW side of Lebanon, the ridge of the property will have views over the S. Santiam river basin. The Mixed-Use zone offers endless choices for the creative developer. Mix in High & low density with live/work options. Great location for easy commutes to Corvallis, Albany & Eugene. The wetland delineation map is completed for initial review. NO DRIVEBYS!
-
0BEDS
-
79.98ACRES
-
0BATHS
-
01/2 BATHS
School Information
Description
Just annexed & ready for your development. This gently sloping development property opens up unobstructed views of the valley & Peterson Butte. Located on the SW side of Lebanon, the ridge of the property will have views over the S. Santiam river basin. The Mixed-Use zone offers endless choices for the creative developer. Mix in High & low density with live/work options. Great location for easy commutes to Corvallis, Albany & Eugene. The wetland delineation map is completed for initial review. NO DRIVEBYS!
© 2026 Based on information from Willamette Valley Multiple Listing Service, which neither guarantees nor is in any way responsible for its accuracy. All data is provided AS IS and with all faults. Data maintained by Willamette Valley Multiple Listing Service may not reflect all real estate activity in the market. Data last updated: 2026-03-12T21:08:45.397.